Zmień weterynaryjną pracownie RTG 
na bezpośrednią (DR)

do 10 000 złotych RABATU ! *

*Jeśli wymieniasz RTG pośrednią na bezpośrednią

Radiografia bezposrednia DR

Panele i detektory RTG weterynaria 

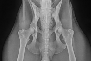
Dzięki tej technologii diagnoza pacjentów w Twojej klinice jest szybsza, dokładniejsza i bardziej komfortowa. Technologia DR pozwala na natychmiastowe uzyskanie obrazu, co przyspiesza proces diagnostyczny i eliminuje konieczność czekania na rozwijanie zdjęć. Obrazy uzyskane dzięki DR są wyjątkowo ostre i precyzyjne, co pozwala na dokładniejszą diagnozę nawet w przypadku drobnych zmian. Dodatkowo, mniejsza dawka promieniowania sprawia, że badanie jest bezpieczniejsza.

Panel Przewodowy Panel bezprzewodowy Panele do fluoroskopii
Cyrfowa radiologia weterynaryjna

Szkolenia z obsługi oraz pozycjonowania

Szkolenia weterynaryjne

Przy zakupie radiografii bezpośredniej DR w naszej ofercie otrzymujesz nie tylko nowoczesne narzędzie diagnostyczne, ale także kompleksowe szkolenia z zakresu oprogramowania i obsługi panelu. Dodatkowo oferujemy kursy z zakresu pozycjonowania zwierząt, aby każde badanie było przeprowadzone z najwyższą precyzją. Inwestując w nasze rozwiązania, zyskujesz pewność profesjonalizmu i doskonałości w każdym aspekcie pracy. 

Finansowanie serwis

Obsługa klienta

Przy zakupie radiografii bezpośredniej DR w naszej ofercie otrzymujesz nie tylko nowoczesne narzędzie diagnostyczne, ale także kompleksowe szkolenia z zakresu oprogramowania i obsługi panelu. Dodatkowo oferujemy kursy z zakresu pozycjonowania zwierząt, aby każde badanie było przeprowadzone z najwyższą precyzją. Inwestując w nasze rozwiązania, zyskujesz pewność profesjonalizmu i doskonałości w każdym aspekcie pracy. 

tel.  ​42 942 01 12

Matryce IGZO

POSTAW na jakość

Odkryj przewagę technologiczną z naszymi panelami radiografii bezpośredniej. Wykorzystując scyntylator na jodku cezu CsI dla wyjątkowej jakości obrazu oraz innowacyjną matrycę IGZO - opartą na półprzewodnikach z tlenków indowego, galowego i cynowego, która zapewnia wyższą czułość i precyzję niż tradycyjne matryce. Dzięki temu uzyskujesz wyższą rozdzielczość obrazu, szybszą odpowiedź i minimalizację szumów. Wybierz przyszłość diagnostyki obrazowej z nami!

Postaw na jakość

Zintegrowane system: Nasze dedykowane oprogramowanie pracuje w systemie Windows 11 Pro, umożliwiając łatwą integrację z systemami typu Klinika XP.

Bezpieczeństwo Danych: Gwarantujemy regularną archiwizację systemu oraz plików DICOM, zapewniając bezpieczeństwo cennych danych pacjentów.

Wysokiej Jakości Wyświetlanie: Zalecamy korzystanie z monitorów o przekątnej powyżej 24 cali, podłączanych cyfrowo. Oferujemy monitory obsługujące tryby sRGB, Adobe oraz DICOM, a także kalibrację kolorów, gwarantuje to precyzyjne i wiarygodne wyświetlanie półtonów.

Sieciowa Integracja: Nasze systemy są skonfigurowane do pracy w sieci, umożliwiając łatwe udostępnianie obrazów pomiędzy różnymi komputerami w klinice.

Lokalny Serwis: Gwarantujemy serwis na miejscu, eliminując potrzebę zdalnej współpracy z dostawcami z zagranicy. 

Jakość i Pochodzenie: Nasze panele są produkowane w całości w Korei, co gwarantuje ich niezawodność i trwałość.

Ochrona Inwestycji: Oferujemy ubezpieczenie sprzętu na wypadek uszkodzeń mechanicznych, zapewniając spokój umysłu naszym klientom.

Komfort i Ergonomia: Dbamy o to, aby nasze stanowiska były nie tylko funkcjonalne, ale także komfortowe dla użytkowników.

ucyfrowienie pracowni RTG weterynaria
Sprzedaż Polska
  • Rubycom sp z o.o.
  • tel.  ​42 942 01 12
  • email: vet@rubycom.pl